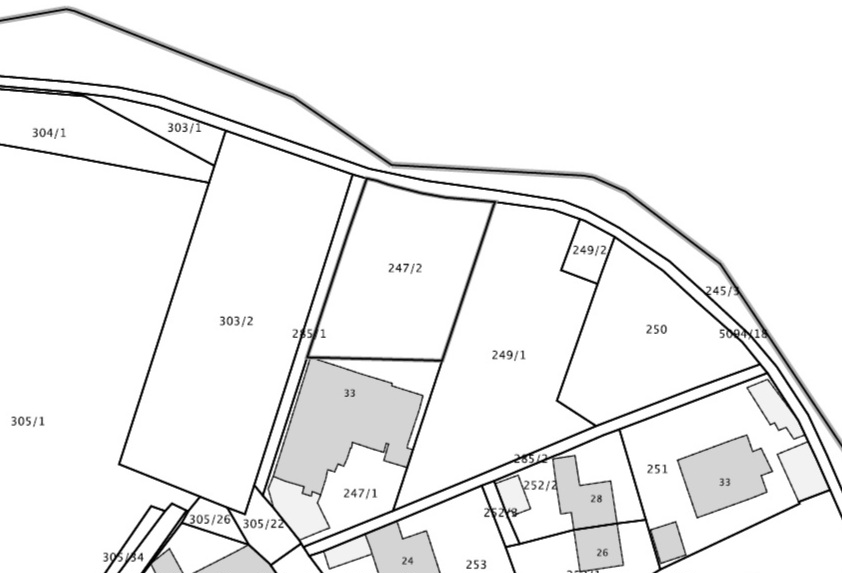
Igor Legaz obratio se medijima, a vezano uz gradilište u Bokeljskoj ulici. Legaz je snimio i vidio u kojem pojašnjava što sve po njegovom mišljenju na toj lokaciji spada pod pomorsko dobro. Naveo je i da je gradska uprava u prijedlogu izmjena i dopuna UPU Gruški akvatorij k.č. 247/2 k.o. Dubrovnik nova uvrstila među nekretnine obalnog područja za koje nije dopuštena novo gradnja i istaknuo da se sporna građevinska dozvola odnosi upravo na tu česticu.
“Dubrovačka gradska uprava je prije pet godina, u prijedlogu izmjena i dopuna UPU “Gruški akvatorij”, č.zem. 1051/52 k.o. Gruž (sada 303/2 k.o. Dubrovnik Nova) i č.zem. 1051/78 k.o. Gruž (sada k.č. 247/2 k.o. Dubrovnik Nova), uvrstila među nekretnine obalnog područja za koje nije dopuštena nova gradnja.
Međutim, na ponti od Šipka je sada sasvim drukčija situacija, jer se sporna građevinska dozvola odnosi baš na k.č. 247/2 k.o. Dubrovnik Nova (za koju Grad Dubrovnik uporno piše da “ne zadire u pomorsko dobro”)”, naveo je Legaz.




Legaz je snimio i video kako bi pokzao koliko je more prodrlo unutar gradilišta te pojasnio što sve po njegovom mišljenu spada u pomorsko dobro.








